Nagelfleck
Nagelfleck (wissenschaftlicher Name: Aglia tau) ist ein Schmetterling aus der Familie der Pfauenspinner (Saturniidae). Er ist einer der wenigen in Mitteleuropa vorkommenden Pfauenspinner und relativ leicht zu erkennen.
Merkmale
Flügelspannweite: ca. 55–80 mm
Färbung: goldbraun bis ocker
Auffälliges Merkmal: Auf jedem Flügel befindet sich ein nagelkopfartig wirkender Augenfleck – daher der Name Nagelfleck.
Geschlechtsunterschiede:
Männchen: kräftiger gefärbt, breitere Fühler (gefiedert)
Weibchen: blasser, größer
Lebensraum
Laub- und Mischwälder in Europa
Besonders Regionen mit Buche oder Hainbuche, da dies typische Futterpflanzen der Raupen sind.
Lebenszyklus
Flugzeit: April–Mai (einzige Generation pro Jahr)
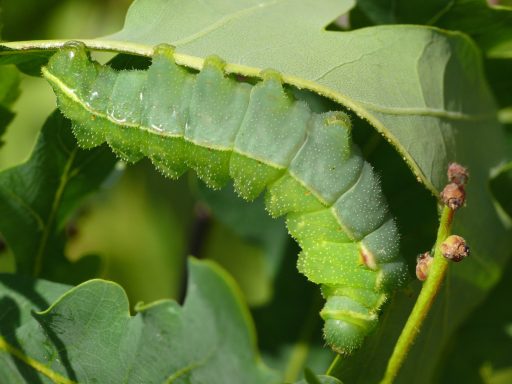
Raupen: leuchtend grün mit weißlichen Seitenlinien
Überwinterung: als Puppe
Verhalten
Die Falter sind dämmerungs- bis nachtaktiv und fliegen besonders stark kurz nach Sonnenuntergang.




